物件詳細
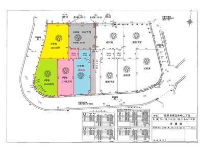
土地市崎二丁目2期10区画分譲地
建築条件なしの分譲地です!お好きなメーカー様で建築出来ます。

| 物件種目 | 売地 |
|---|---|
| 用途 | 住宅用地 |
| 最寄駅 | 西鉄大牟田線『西鉄平尾駅』 徒歩13分 |
| 土地面積 | 119.88㎡~ |
| 間取り | |
| 価格 | 成約済 |
| 取引態様 | 売主 |
| 月々のお支払例 |
|---|
|
---(ボーナス払い無しの場合) |
| 物件所在地 | 〒8150084 福岡県福岡市南区市崎2丁目14-7 | |||
|---|---|---|---|---|
| 交通 | 西鉄天神大牟田線 平尾駅 徒歩13分 | |||
| 建物 | 構造/規模 | |||
| 面積 | ||||
| 間取り内訳 | ||||
| 築年月 | 駐車場 | |||
| 土地権利 | 所有権 | 地目 | 宅地 | |
| 都市計画 | 都市計画区域 | 用途地域 | 第一種低層住居専用地域 | |
| 建ぺい率 | 40% | 容積率 | 80% | |
| 制限 | 第三種風致地区、法22条区域 | 地勢 | 平地、高台の区画もあり | |
| 現況 | 造成完了済み | 環境 | 閑静な住宅街、見晴らし良好 | |
| 引渡日 | 相談 | 引渡条件 | 現況渡し | |
| 設備 | --- | |||
| 接道状況 | 東or南公道幅員6Mに接する | |||
| 備考 | --- | |||



















